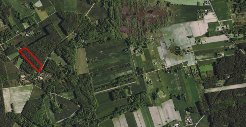
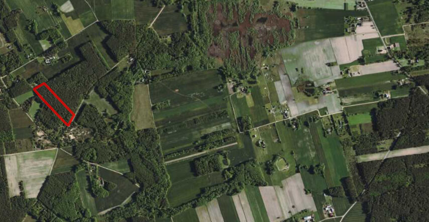
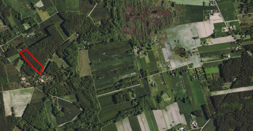
Działka leśna w miejscowości Łopacin
Łopacin gm. Sońsk Pokaż na mapie ›
Ogłoszenie archiwalne Wygasło: Niedziela, 05 Październik, 2025 11:48
109 000 zł
Szczegóły ogłoszenia
- Kategoria: Działki i grunty / Sprzedaż
- Sprzedaż:Pośrednik
- Cena: 109 000 zł
Opis oferty
Szukasz działki leśnej !Być może to oferta właśnie dla Ciebie!
Duży kompleks leśny z jednolitym drzewostanem. Działki znajdują się miejscowości Łopacin, gm. Sońsk, powiat Ciechanowski.
Działka leśna o łącznej powierzchni 21 523 m2.
Las z uwagi na swój wiek najprawdopodobniej w większej części nadaje się pod wycinkę;
Idealny jako lokata kapitału.
Cena podlega negocjacji.
Zapraszam do kontaktu.
Sprawdź zainteresowanie tym ogłoszeniem
Wyświetlenia
Data dodania
Ostatnio widziany
Obserwujących
Wysłane zapytania
Odsłony telefonu
To ogłoszenie jest archiwalne i może być nieaktualne.
- Wypromuj ogłoszenie
- Zgłoś naruszenie
- Edytuj/usuń ogłoszenie
- Udostępnij ogłoszenie
- Dodaj na Facebook

































